ავტორიზაცია / რეგისტრაცია
სააგენტოს ვებ გვერდები
ონლაინ დახმარება
ვიდეო ზარი
ქართული
english
ქართული ღვინო - ღვინის ეროვნული სააგენტო
მენიუ
ჩვენ შესახებ
ძირითადი საქმიანობა
მენეჯმენტი
სტრუქტურა
ქართული ღვინო
ქვევრის ღვინო
ჯიშები
ღვინის კომპანიები და მარნები
ადგილწარმოშობის დასახელების ღვინოები
მევენახეობა მეღვინეობის რეგიონები
რთველი
ღონისძიებები
ღონისძიებები
საერთაშორისო გამოფენები
დეგუსტაციები
სიახლეები
საჯარო ინფორმაცია
კანონმდებლობა
პროგრამები
პროაქტიულად გამოსაქვეყნებელი ანგარიშები
ბმულები
ვაკანსია
პერსონალურ მონაცემთა დაცვის ოფიცერი
გალერეა
ვიდეო გალერეა
კონტაქტი
სიახლეები
სიახლეები
filter form
კატეგორია
"საქართველო ღვინის სამშობლო" - ბორდო
ექსპორტი
გამოფენა
დეგუსტაცია
რთველი
ვენახების კადასტრი
ღვინის ტური
საკანონმდებლო
ზოგადი
კონკურსი
ფესტივალი
"საქართველო ღვინის სამშობლო" - ტოკიო
ანონსი
ხარისხის კონტროლი
ადგილწარმოშობის დასახელება
რთველი
28.09.2015
სოფლის მეურნეობის მინისტრი კახეთში რთველის მიმდინარეობას გაეცნო
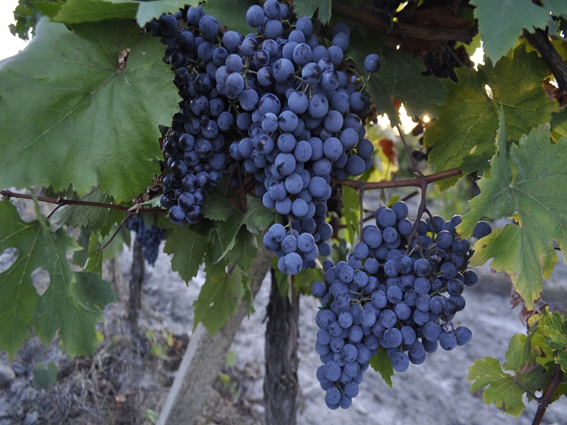
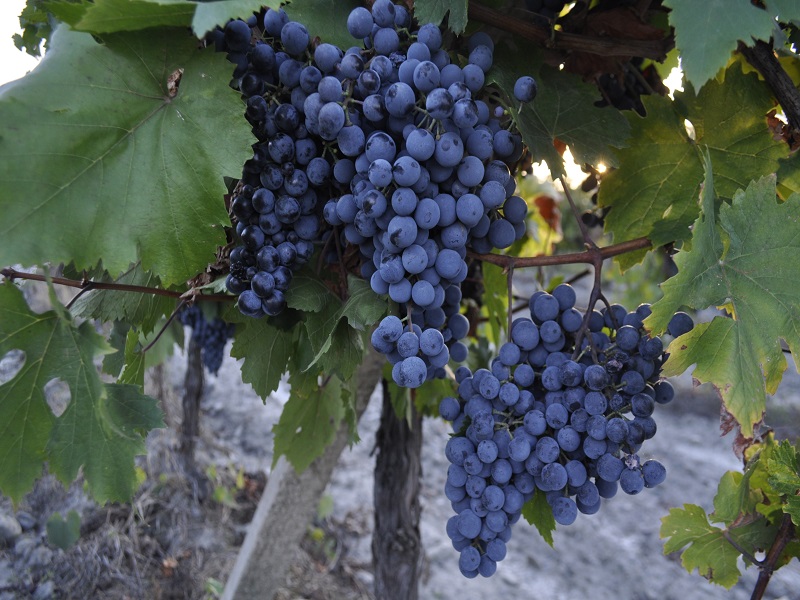
რთველი
28.09.2015
რთველის მიმდინარეობა - 28 სექტემბერი
ზოგადი
28.09.2015
სოფლის მეურნეობის მინისტრი კახეთში რთველის მიმდინარეობას გაეცნო
ზოგადი
28.09.2015
რთველის მიმდინარეობა - 28 სექტემბერი
ზოგადი
27.09.2015
რთველის მიმდინარეობა - 27 სექტემბერი
რთველი
27.09.2015
რთველის მიმდინარეობა - 27 სექტემბერი
რთველი
26.09.2015
რთველის მიმდინარეობა - 26 სექტემბერი
ზოგადი
26.09.2015
რთველის მიმდინარეობა - 26 სექტემბერი
ზოგადი
25.09.2015
გიორგი სამანიშვილი ყურძნის გადამუშავების პროცესს გაეცნო
««
«
…
130
131
132
133
134
135
136
137
138
139
…
»
»»
ქართული ღვინო
ვენახების კადასტრი