ავტორიზაცია / რეგისტრაცია
სააგენტოს ვებ გვერდები
ონლაინ დახმარება
ვიდეო ზარი
ქართული
english
ქართული ღვინო - ღვინის ეროვნული სააგენტო
მენიუ
ჩვენ შესახებ
ძირითადი საქმიანობა
მენეჯმენტი
სტრუქტურა
ქართული ღვინო
ქვევრის ღვინო
ჯიშები
ღვინის კომპანიები და მარნები
ადგილწარმოშობის დასახელების ღვინოები
მევენახეობა მეღვინეობის რეგიონები
რთველი
ღონისძიებები
ღონისძიებები
საერთაშორისო გამოფენები
დეგუსტაციები
სიახლეები
საჯარო ინფორმაცია
კანონმდებლობა
პროგრამები
პროაქტიულად გამოსაქვეყნებელი ანგარიშები
ბმულები
ვაკანსია
პერსონალურ მონაცემთა დაცვის ოფიცერი
გალერეა
ვიდეო გალერეა
კონტაქტი
სიახლეები
სიახლეები
filter form
კატეგორია
"საქართველო ღვინის სამშობლო" - ბორდო
ექსპორტი
გამოფენა
დეგუსტაცია
რთველი
ვენახების კადასტრი
ღვინის ტური
საკანონმდებლო
ზოგადი
კონკურსი
ფესტივალი
"საქართველო ღვინის სამშობლო" - ტოკიო
ანონსი
ხარისხის კონტროლი
ადგილწარმოშობის დასახელება
ზოგადი
20.10.2015
ქართული ღვინის პრეზენტაცია ვაშინგტონში
ზოგადი
16.10.2015
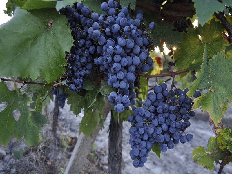
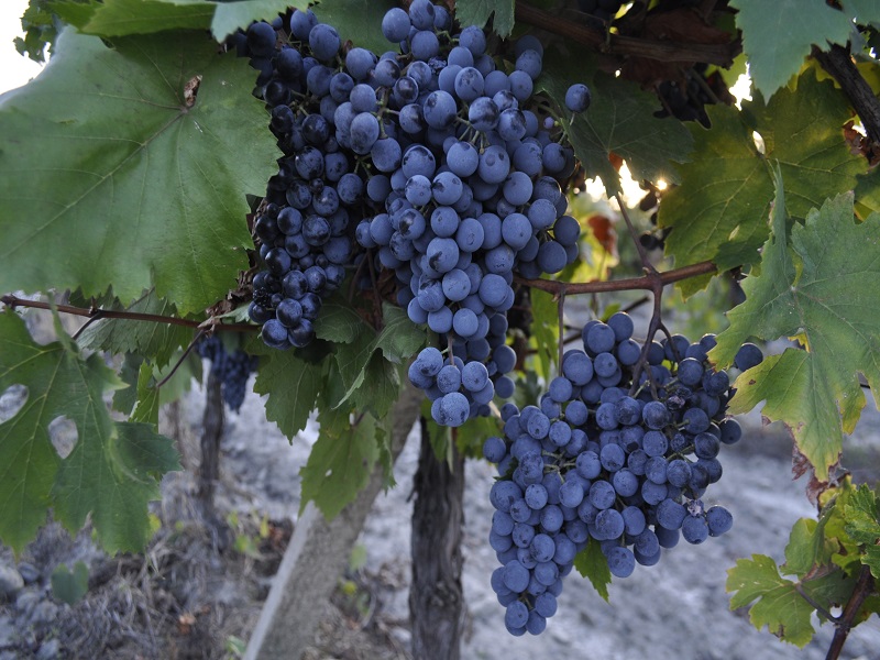
რთველი რაჭაში გრძელდება, კახეთში კი დასასრულს მიუახლოვდა
რთველი
16.10.2015
რაჭაში რთველი გრძელდება, კახეთში კი დასასრულს მიუახლოვდა
ზოგადი
15.10.2015
ქართული ღვინის დეგუსტაცია სან-ფრანცისკოში გაიმართა
ზოგადი
13.10.2015
რაჭაში რთველი შეფერხების გარეშე გრძელდება
რთველი
13.10.2015
რაჭაში რთველი შეფერხების გარეშე გრძელდება
ზოგადი
12.10.2015
ჩინური მედიისა და ბიზნესის წარმომადგენლების ტური საქართველოში
ზოგადი
09.10.2015
ქართული ღვინო კვლავ მოექცა უცხოური გამოცემების ყურადღების ქვეშ
ზოგადი
08.10.2015
ღვინისა და ალკოჰოლური სასმელების ექსპორტის 9 თვის მონაცემები
««
«
…
124
125
126
127
128
129
130
131
132
133
…
»
»»
ქართული ღვინო
ვენახების კადასტრი